1 / 4
Wśród nowoczesnych domów, blisko jeziora w poznańskim Kiekrzu
Rogierówko, Rokietnica, poznański, wielkopolskie
- Cena za metr kwadratowy
- 701 m²
1 / 4
Wśród nowoczesnych domów, blisko jeziora w poznańskim Kiekrzu
Rogierówko, Rokietnica, poznański, wielkopolskie
1 / 3
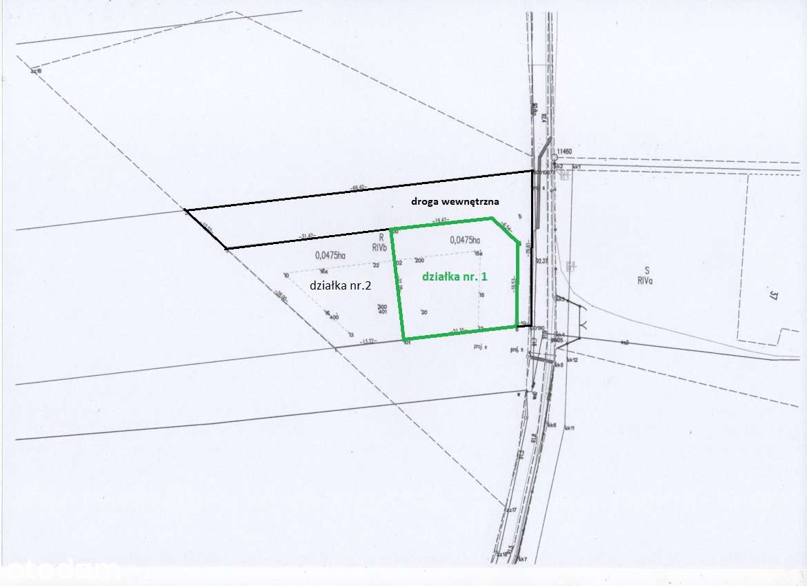
Działka 475+189m2, pozwolenie na budowę, projektem domu wolnostojącego
ul. Polna, Rogierówko, Rokietnica, poznański, wielkopolskie
1 / 8
Duża działka leśna/Natura 2000
Rogierówko, Rokietnica, poznański, wielkopolskie
1 / 4
Ładnie położona, uzbrojona działka Rogierówko
Rogierówko, Rokietnica, poznański, wielkopolskie
1 / 12
Działka budowlana 800 m od Jeziora Kierskiego
Ptasia, Rogierówko, Rokietnica, poznański, wielkopolskie
1 / 4
Kiekrz Rogierówko ładne dzialki
Rogierówko, Rokietnica, poznański, wielkopolskie
1 / 6
Działka budowlana 1.109,0 m2 z MPZP (zabudowa bliźniacza), Kiekrz
Rogierówko, Rokietnica, poznański, wielkopolskie
1 / 5
Działka Kiekrz mieszkaniowo usługowa
Rogierówko, Rokietnica, poznański, wielkopolskie
