172 400 zł
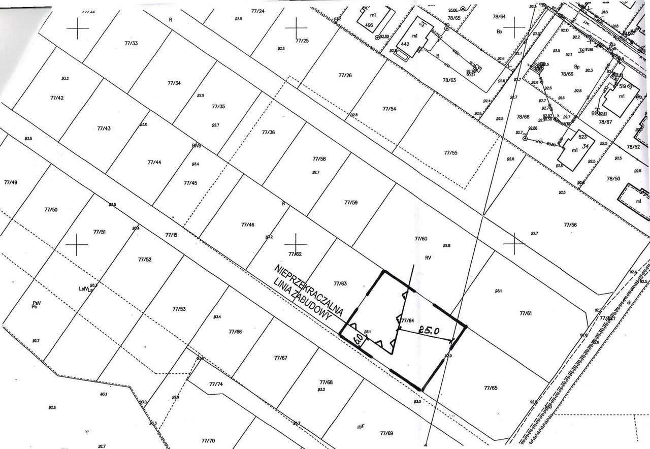
26 działek do wyboru z warunkami zabudowy w Strzelcach Górnych
Strzelce Górne, Dobrcz, bydgoski, kujawsko-pomorskie
- Powierzchnia
- 862 m²
- Cena za metr kwadratowy
- 200 zł/m²
Zobacz opis ogłoszenia
Zobacz opis ogłoszenia
Oferuję do sprzedania idealne działki w rewelacyjnym miejscu, otoczone lasem, położone w w Strzelcach Górnych w gm. Dobrcz przy ul. Myśliwskiej, Pod Lasem i Hubertusa, pomiędzy ulicami Przyjazną i Łow...

